September 2016 - Tropiska cykloner dominerade väderhändelserna
De tropiska cyklonerna dominerade väderhändelserna runtom på norra halvklotet. I Arktis blev det årliga säsongsminimumet av havsis tillsammans med 2007 det näst lägsta som observerats efter bottenåret 2012. I Europa liksom på Arabiska halvön noterades extremt höga temperaturer i början av månaden. Enligt EUs klimatövervakningsprogram Copernicus samt NASA blev det ytterligare en rekordvarm månad. Däremot rankade NOAA månaden som den näst varmaste.
Förstora bildenAvvikelse från normal månadsmedeltemperatur (referensperiod 1961-1990) i september 2016.
Europa - Extrem värme på Iberiska halvön den 5-6
Den första höstmånaden blev varm eller mycket varm i hela Europa med temperaturöverskott som i allmänhet var 2-3 grader över de normala. I delar av Tyskland och västra Tjeckien samt gränsområdet mellan Sverige och södra Norge var överskotten omkring 4 grader.
I Danmark fick man en tangerat rekordvarm septembermånad (ihop med 1999 och 2006) som dessutom blev varmare än augusti. Att september är varmare än augusti har bara inträffat en enda gång tidigare i Danmark sedan man började med temperaturmätningar år 1874 och det var år 1949. September var även tillsammans med 2002 den soligaste septembermånad som observerats sedan solmätningarna inleddes 1920.
Också i Norge blev det en rekordvarm september där det gamla rekordet från 1999 slogs med en tiondel. Tidsserien för landstäckande mätningar i Norge sträcker sig från år 1900 och framåt. I Sydnorge var det lokalt 5 grader varmare än normalt och flera stationer med mer än 100-åriga mätserier satte nya månadsrekord för september. Till de mer imponerande rekorden hör Ullensvang i Hordaland (startår 1865) där marginalen till det tidigare rekordet från 2014 blev hela 1,8 grader. För de andra så kallade ”centennial stations” där rekorden slogs var marginalen till de gamla rekorden däremot bara någon eller några få tiondelar.
Även i Tyskland var månaden rekordvarm, dock delades förstaplatsen med 2006. Där sträcker sig tidsserien från 1881 och framåt.
I Schweiz var detta den tredje varmaste septembermånaden sedan man började med temperaturmätningar år 1864. Några stationer med mer än 100-åriga mätserier satte nytt rekord för högsta månadsmedeltemperatur i september.
Även i Frankrike blev det den tredje varmaste septembermånaden efter 1949 och 1961. I samband med ovanligt höga temperaturer under en andra värmevåg den 12-13 slog flera stationer sina gamla septemberrekord. I Saint Jean de Luz (startår 1921) uppmättes 38,0° den 12 vilket överträffade det gamla rekordet på 36,2° från 1962. Också i Dax noterades samma dag 38,0° vilket var nytt månadsrekord för stationen. Det var inte bara maximitemperaturerna som var ovanligt höga. Också minimitemperaturerna hamnade på rekordnivåer för en del stationer. I Paris-Montsouris där mätningarna inleddes 1872 sjönk temperaturen den 13 inte lägre än 21,9°. Detta överträffade med bred marginal det tidigare septemberrekordet på 19,9° från 1987.
I Storbritannien noterade Gravesend 34,4° den 13 vilket även blev årets högsta temperatur. Värdet är även den högsta septembertemperatur som observerats i Storbritannien sedan 1911 då det var 34,6°. Det allra högsta septembervärdet är dock från 1906 då det var 35,6°. Senaste gången det inträffade att årets högsta temperatur uppmätts i september i Storbritannien var 1954. För stationerna Rothamsted och Woburn, båda med drygt 100-åriga mätserier, sattes nya septemberrekord den 13.
Mer normala septembertemperaturer återfanns i nordöstra Europa liksom i Sydosteuropa. I sydvästra Ryssland samt delar av Grekland var avvikelserna även något under de normala.
Förstora bildenMedellufttryck över Europa i september 2016.
Inofficiellt europeiskt septemberrekord
Europas allra högsta temperatur denna septembermånad blev 45,7° den 6 i spanska Montoro. Märkligt nog var detta med all sannolikhet även årets högsta temperatur i Europa vilket får ses som anmärkningsvärt med tanke på att det sker så sent som i september. Värdet är enligt inofficiella uppgifter dessutom europeiskt rekord för september. För flera spanska stationer sattes nya septemberrekord den 5-6.
I Tortosa (startår 1920) slogs det gamla septemberrekordet på 38,0° med bred marginal när man kom upp i 41,4° där den 5. I huvudstaden Madrid (startår 1920) uppmättes samma dag 37,8° vilket överträffade det tidigare septemberrekordet på 37,0° från 1988. För många spanska stationer härrörde de tidigare septemberrekorden från just 1988.
Kallast uppe på Capanna Margherita i Italien
Som så ofta under månaderna maj till september uppmättes Europas lägsta temperatur vid den högt belägna Capanna Margherita i Italien (4 560 möh). Den 16 sjönk temperaturen där till -14,0°. På lägre höjder under 1000 m var det istället Vorkuta i Ryssland som var kallast. Där sjönk temperaturen till -7,4° den 29.
Till de större nederbördsmängderna hör de 117 mm som uppmättes i norska Gullfjellet i Hordaland fylke den 28.
Nordamerika - Första orkanen på 11 år drog in över Florida
Temperaturerna höll sig i allmänhet nära de normala i västra delen av Nordamerika. Dock var det särdeles varmt i sydvästra Alaska längs Stillahavskusten till följd av det ovanligt varma havsvattnet. St Paul Island i Alaska beläget i Berings hav med mätningar från 1892 och framåt upplevde sin absolut varmaste septmbermånad.
Längs USAs västkust samt i sydvästra Kanada förekom smärre områden med temperaturer något under de normala. I östra USA liksom området kring Hudson Bay i Kanada var temperaturerna allmänt 2-3 högre än normalt.
Månadens högsta temperatur stod Death Valley för då man den 1 uppmätte 46,1° där. När det gäller låga temperaturer uppmättes månadens lägsta redan den 16 då Margaret Lake i Kanada hade en minimitemperatur på -12,9°.
Den tropiska orkanen Hermine som bildades i Mexikanska golfen den 31 augusti drog den 2 september in över norra Florida och fortsatte sedan under försvagning vidare upp över östra USA. I Hermines kölvatten föll stora mängder regn över delstaterna Florida, Georgia, South Carolina, North Carolina och Virginia. Lokalt föll sammanlagt närmare 500 mm regn i norra Florida. Exempelvis så fick stationen Baskin i närheten av Tampa Bay totalt 479 mm regn. Senaste gången en tropisk orkan drog in över Florida var i slutet av oktober 2005 då Wilma drabbade delstaten.
Ian, Julia, Karl, Lisa och Matthew följde
Efter Hermine följde de tropiska cyklonerna Ian, Julia, Karl, Lisa och Matthew.
Av dessa är det Julia som får anses vara mest anmärkningsvärd. För första gången sedan man började föra statistik över tropiska cykloner på Atlanten år 1851 bildades det en tropisk storm precis innanför land i Florida. En sådan händelse är sällsynt men har enligt uppgift förekommit i andra delstater tidigare. Det återstår dock att se ifall amerikanska National Hurricane Center kommer att bekräfta denna företeelse efter att de gjort sin efteranalys av Julia. I samband med resterna av Julia föll mycket regn på USAs ostkust. Kempsville i Virginia Beach County fick under 72 timmar totalt 349 mm regn.
I slutet av månaden bildades den tropiska stormen Matthew strax öster om Karibien. När Matthew passerade öriket Saint Lucia i Små Antillerna föll mycket stora regnmängder den 29. Stationen Georges fick på 24 timmar sammanlagt 338 mm regn medan Hewanorra fick nöja sig med 321 mm. Matthew passerade Små Antillerna och hade sent på kvällen den 29 uppgraderats till en kategori 1 - orkan. Därefter skedde en snabb intensifiering och precis vid månadsskiftet september-oktober hade Matthew uppgraderats till en kategori 5 - orkan. Mer om Matthew i oktoberkrönikan.
Förstadiet till orkanen Newton gav mycket regn i Acapulco
De tropiska cyklonerna på östra Stilla havet (Newton, Orlene, Paine och Roslyn) var svaga och ingen av de nådde högre än kategori 2 på den femgradiga Saffir - Simpsonskalan. Mest trubbel stod orkanen Newton för som den 5-6 drog in över halvön Baja California i Mexiko och därefter vidare åt nordost. Förstadiet till Newton gav även stora mängder regn i området kring Acapulco i södra Mexiko. Staden Acapulco fick hela 264 mm på 24 timmar den 3-4 september.
Asien – Mycket varm inledning av månaden på Arabiska halvön
I delar av södra och östra Indien förekom små temperaturunderskott på 0-1 grad från det normala. När det gäller kyla så blev det som lägst -19,4° uppmätt den 30 i Berdigestyah i Sibirien. I resten av Asien dominerade temperaturöverskotten med 2-4 grader varmare än normalt på många håll. I de norra delarna av centrala Sibirien var överskotten dock 4-5 grader. Där slog Amderma (startår 1936) beläget nära Ishavskusten sitt gamla septemberrekord från 1940 när man den 5 uppmätte 21,7°.
Månaden inleddes med extrem värme med lokalt kring 50° vid Perisiska viken. På månadens fjärde dag kulminerade värmen då Mitribah i Kuwait uppmätte september månads högsta temperatur globalt sett med 51,2° Mitribah hade för övrigt över 50° den 2-4 september. Från den 5 lindrades den mest extrema värmen.
Japan och Taiwan drabbades av tropiska cykloner under månaden
Den tropiska orkanen Namtheun drog under månadens inledning in över södra Japan där det föll stora mängder regn. Exempelvis föll 154 mm i Miyakonojo den 4.
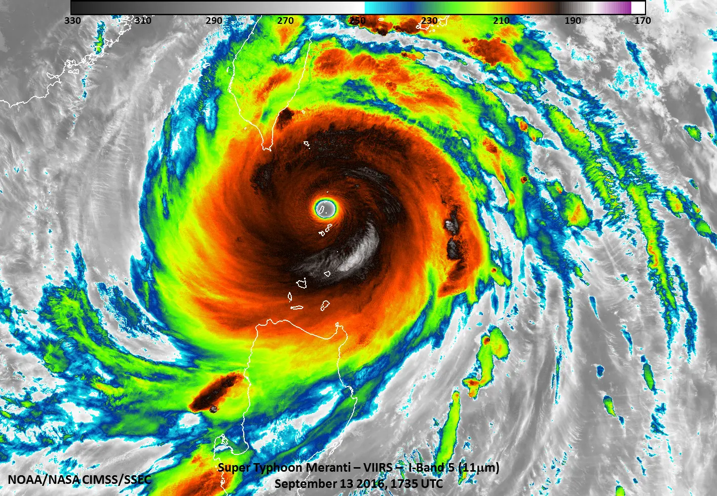
Den 10 bildades den tropiska stormen Meranti som snabbt intensifierades. Till den 12 klassades Meranti som en kategori 5 – orkan av det USA-baserade Joint Typhoon Warning Center. Meranti behöll sin intensitet i ytterligare två dygn. På kvällen den 13 drog orkanens öga rakt över den lilla filippinska ön Itbayat söder om Taiwan.
Förstora bildenKategori 5 - orkanen Meranti drog rakt över den lilla filippinska ön Itbayat den 13 september. Här syns hur den lilla ön befinner sig mitt i ögat.
Meranti passerade därefter strax söder om Taiwan. I samband med detta föll stora mängder regn. Xidawushan i Pingtong County uppmätte 800 mm på 24 timmar varav 685 mm på 12 timmar. Flera stationer i Taiwans sydöstra del rapporterade regnmängder på 500-700 mm under en 24-timmarsperiod. Meranti drog därefter vidare mot Kina där en mer än 800 år gammal bro kollapsade till följd av de extrema regnmängderna som utlöste översvämningar.
Orkanen Malakas drog in över Japan
Ytterligare en tropisk orkan, Malakas, som kortvarigt nådde kategori 4 berörde Taiwan men hade inte alls lika stora effekter som Meranti. Istället var det delar av Japan som fick ta emot det värsta från Malakas. Orkanen var intensiv med vindar på närmare 50 m/s när den drog in över huvudön Kyushu i södra Japan den 19-20. I samband med detta föll lokalt rikligt med regn. Hyuga i Miyazaki prefektur fick 577 mm regn på 24 timmar.
Orkanen Megi gav lokalt nära 1 meter regn på 24 timmar i Taiwan
Taiwan drabbades av ytterligare en tropisk orkan under slutet av månaden. Den 27 drog Megi in rakt över Taiwan som en kategori 4 på Saffir – Simpsonskalan. I dess kölvatten föll stora mängder regn. Allra mest fick stationen Taipingshan-1 i Yilan County där det föll hela 985 mm på 24 timmar.
Förstora bildenSatellitbild över orkanen Megi som den 27 september drog in över Taiwan.
Arktis – Extremt låg utbredning av havsis
Milt väder dominerade i Arktis under september, särskilt gällde detta för ryska Arktis, norra Grönland och kanadensiska ön Ellesmere Island väster om Grönland. Temperaturöverskotten låg i de här delarna av Arktis på 4-6 grader över de normala. För Jan Mayens del var detta den näst mildaste septembermånaden efter 1934. För stationen Isfjord Radio på Svalbard slogs däremot månadsrekordet från 1934 vilket även är stationens startår.
Månadens högsta temperatur på 22,8° uppmättes den 2 i den ryska delen av Arktis vid Ust’-Olenek beläget vid Laptevhavet öster om Taimyrhalvön.
Den 10 september inträffade det årliga säsongsminimumet av havsis i Arktis enligt amerikanska National Snow and Ice Data Center (NSIDC). Årets värde på 4,14 miljoner km² var tillsammans med 2007 det näst minsta som observerats.
Månadens lägsta temperatur blev -39,8° uppmätt den 20 och den 22 vid Geosummit (3280 möh). På lägre höjder var det istället stationen Nord på norra Grönland som var kallast med -17,3° som lägst den 29.
Sydamerika – Mycket varmt i nordöstra Brasilien
I nordöstra Brasilien blev det en mycket varm vårmånad med temperaturöverskott som på flera håll låg på 4-6 grader. Även i övriga delar av Brasilien var det varmare än normalt liksom i sydligaste delen av kontinenten. I resten av Sydamerika låg temperaturen omkring den normala. I nordöstra Argentina, östra Paraguay och Uruguay även 0-1 grad under den normala.
Månadens högsta temperatur stod Villamontes i Bolivia för då man den 12 uppmätte 44,0° där. De lägsta temperaturerna återfanns på Andernas höjder. Den 11 noterade Cojata i Peru -18,4°.
Villavicencio i Colombia stod för månadens största kända dygnsmängd när man den 14 fick 225 mm där.
Afrika - Varmt i den norra delen
Varmt väder dominerade i norra Afrika. I Algeriet var överskotten allmänt 2-4 grader över det normala. Även i delar av Egypten och Niger var överskotten på sina håll över 2°. Månadens högsta temperatur på 45,5° uppmättes vid tre tillfällen. Först den 5 i Akjoujt i Mauretanien och därefter den 15 och den 16 i Rhourd Noss i Algeriet.
Månadens lägsta temperatur på kontinenten uppmättes som så många gånger förr vid den höglänta stationen Buffelsfontein (1783 möh) i Sydafrika. Den 29 uppmättes -9,4° där.
Australien/Oceanien – Extremt regnig i den östra halvan av Australien
Det blev en kylig månad i stora delar av Australien. De största underskotten på drygt 2 grader från det normala återfanns i sydvästra Australien. I delstaten Western Australia var månaden så kylig att stationerna Northam (start 1905) och Narrogin (start 1919) upplevde sin allra kyligaste septembermånad. I landets norra delar liksom längst i öster blev månaden förhållandevis normal eller något varmare än normalt.
Även om kyligt väder dominerade sattes ett nationellt värmerekord. Den 28 september noterade Warmun i Western Australia den allra högsta mintemperaturen med 30,0° som lägst. Det tidigare septemberrekordet på 29,7° från Wyndham härrörde från 2005. Månadens högsta temperatur blev 41,8° i Wyndham den 26 medan den lägsta blev -6,8° i Liawnee den 2.
Rekordblöt september i New South Wales och Northern Territory
Bortsett från delstaten Western Australia var det en mycket blöt september i landet med överskott som på många håll uppgick till 200-400% över det normala. I New South Wales och Northern Territory var månaden rekordblöt. Tillsammans med delstaterna Victoria, Queensland och South Australia slog flera stationer med mer än 120-åriga mätserier sina gamla nederbördsrekord för september, antingen med avseende på dygnsnederbörden, den totala månadsmängden eller en kombination av båda. Exempelvis gäller detta för Goolwa i South Australia med 155 års nederbördsmätningar som både hade sin blötaste septemberdag och den blötaste septembermånaden som observerats.
Den 19 föll för årstiden stora mängder regn i delstaten Northern Territory. I samband med detta uppmättes månadens största mängd på 168 mm i Maniouro. Detta är den tredje största septembermängden som observerats i Northern Territory. Delstatsrekordet på 177 mm uppmättes i september 1998. Även i South Australia föll för den regionen mycket regn den 15. Allra mest fick Uraidla där man noterade 101 mm vilket är delstatens sjätte största uppmätta mängd i september.
Övervägande varmt på Nya Zeeland
Månaden var övervägande varm på Nya Zeeland där några stationer med medellånga mätserier upplevde sin allra varmaste septembermånad. På Nordön dominerade molnen och Hamilton (start 1936), Wellington (start 1928) och Tauranga (start 1932) hade alla sin solfattigaste septembermånad.
Mycket regnigt på Hawaii
Stora delar av Hawaii fick mer nederbörd än normalt. Detta berodde till viss del på den försvagade orkanen Lester som passerade norr om delstaten i början. Honolulu på ön Oahu uppmätte sin näst blötaste septembermånad sedan mätningarna inleddes där för 77 år sedan. På ön Maui noterade Kahului sin sjätte regnigaste septembermånad sedan mätningarna inleddes där 1905.
Ovanlig tropisk orkan i centrala Stilla havet
Den 27 bildades den tropiska stormen Ulika i centrala Stilla havet precis väster om longitud 140°W vilken skiljer östra Stilla havet från centrala Stilla havet. Ulika rörde sig därefter in över östra Stilla havet (åt nordost och korsade 140°W) där den nådde orkanstyrka. Den 28-29 rörde sig Ulika på en västlig bana tillbaka in över centrala Stilla havet. Att en tropisk storm eller tropisk orkan korsar longitud 140°W två gånger är mycket ovanligt. Det enda tidigare fallet som man känner till är orkanen Olaf som i oktober 2015 gjorde just detta, fast då från motsatt håll jämfört med Ulika.
Antarktis – Lägre septemberminimum än i augusti
På västantarktiska halvön förekom temperaturöverskott på lokalt 6 grader. I övrigt var det en tämligen normal septembermånad. Vid Sydpolen var det dock drygt 2 grader kallare än normalt. Månadens högsta temperatur stod Base Marambio för som den 4 kom upp i 9,0°.
Månadens lägsta temperatur på -82,2° uppmättes några dagar senare, nämligen den 9 vid Dome Fuji (3810 möh). Noterbart är det faktum att årets septembervärde var klart lägre än vad som uppmättes i augusti på kontinenten (-77,3° i Vostok den 31 augusti).
I början av september var havsisens utbredning något under det normala men kring den 10 hade utbredningen krympt till mycket under det normala för årstiden, något som präglade situationen under resten av månaden.
Källor:
- Analyser och observationer från de nationella meteorologiska institutens webbsidor samt från det ordinarie globala observationsutbytet.
Internationella månadsöversikter
Månadsöversikter Argentina Länk till annan webbplats.
Månadsöversikter Belarus Länk till annan webbplats.
Månadsöversikter Brasilien Länk till annan webbplats.
Månadsöversikter Colombia Länk till annan webbplats.
Månadsöversikter Costa Rica Länk till annan webbplats.
Månadsöversikter Danmark Länk till annan webbplats.
Månadsöversikter El Salvador Länk till annan webbplats.
Månadsöversikter Etiopen Länk till annan webbplats.
Månadsöversikter Finland Länk till annan webbplats.
Månadsöversikter Frankrike Länk till annan webbplats.
Månadsöversikter Irland Länk till annan webbplats.
Månadsöversikter (Tíðarfar) Island Länk till annan webbplats.
Månadsöversikter Japan Länk till annan webbplats.
Månadsöversikter Kina Länk till annan webbplats.
Månadsöversikter Nederländerna Länk till annan webbplats.
Månadsöversikter Norge Länk till annan webbplats.
Månadsöversikter Polen Länk till annan webbplats.
Månadsöversikter Portugal Länk till annan webbplats.
Månadsöversikter Schweiz Länk till annan webbplats.
Månadsöversikter Serbien Länk till annan webbplats.
Månadsöversikter Spanien Länk till annan webbplats.
Månadsöversikter Storbritannien Länk till annan webbplats.
Månadsöversikter Slovenien Länk till annan webbplats.
Månadsöversikter Sydafrika Länk till annan webbplats.
Månadsöversikter Taiwan Länk till annan webbplats.
Månadsöversikter Tyskland Länk till annan webbplats.
Månadsöversikter Österrike Länk till annan webbplats.
Månadsöversikter Ukraina Länk till annan webbplats.
Månadsöversikter USA Länk till annan webbplats.
Månadsöversikter Mexiko Länk till annan webbplats.
Månadsöversikter Pakistan Länk till annan webbplats.
Månadsöversikter Perus Länk till annan webbplats.
Månadsöversikter Indien Länk till annan webbplats.
Månadsöversikter Réunion Länk till annan webbplats.
Månadsöversikter Rumänien Länk till annan webbplats.
Månadsöversikter Uruguay Länk till annan webbplats.
Månadsöversikter Australien Länk till annan webbplats.
Månadsöversikter Nya Zeeland Länk till annan webbplats.
Månadsöversikter globalt (NOAA) Länk till annan webbplats.
Månadsöversikter globalt (Copernicus) Länk till annan webbplats.
Dagliga avvikelser, polarisar, extremväder med mera
Dagliga avvikelser (Copernicus Climate Pulse) Länk till annan webbplats.
Arctic sea ice news and analysis - NSIDC Länk till annan webbplats.
FloodList (Copernicus) Länk till annan webbplats.
European Severe Weather Database Länk till annan webbplats.
World Meteorological Organization (WMO) Länk till annan webbplats.
