September 2018 - Mycket varm månad i Europa och USA
Det blev en mycket varm månad i praktiskt taget hela Europa och USA. Kallt väder rådde däremot i västra Kanada. Månadens mest omtalade väderhändelse var orkanen Florence vars långsamma rörelse över sydöstra USA gav upphov till omfattande översvämningar till följd av de ymniga regnen. Ungefär samtidigt drabbades norra Filippinerna av en förödande kategori 5-orkan med runt 100 döda som följd.
I Arktis inträffade årets säsongsminimum för havsisen extremt sent och var det sjätte lägsta som observerats.
Global temperaturanomali
Förstora bildenGlobal temperaturanomali (vänster bild) i september 2018 samt för Europa (höger bild). Avvikelserna avser normalperioden 1981-2010.
Enligt Copernicus Climate Change Service var månaden klart varmare än normalt men en bra bit ifrån de allra varmaste septembermånaderna från 2016, 2017 och 2015. September 2018 var enligt Copernicus likvärdig med septembermånaderna 2005, 2013 och 2014.
Förstora bildenMånadsvis temperaturavvikelse globalt och i Europa från januari 1979 till september 2018 jämfört med medelvärdet för 1981-2010. De svarta staplarna visar avvikelsen för respektive septembermånad.
Europa - Ännu en mycket varm månad
Efter en rekordvarm augustimånad följde för Europa som helhet en rekordvarm september. Detta enligt Copernicus Climate Change Service. Stora delar av Europa hade temperaturöverskott på 1-3 grader. I sydvästra Ryssland var överskotten lokalt 4 grader.
I Portugal var det för landet som helhet den allra varmaste september som observerats. Tidigare rekordmånad var 1985 och mätningar på landsnivå finns från 1931 och framåt. Även i Spanien var det en osedvanligt varm månad och den varmaste som observerats för perioden 1965-2018. Marginalen till den näst varmaste septembermånaden från 1987 var en tiondel.
Månadens högsta temperatur på 41,6° uppmättes den 1 i Loursã i Portugal. Nästan lika varmt var det samma dag i Spanien men temperaturen i Montoro orkade bara upp till 41,2°.
Även i sydvästra Ryssland och delar av östra Ukraina var det ovanligt varmt på månadens första dag. Odessa i Ukraina uppmätte 35,4° vilket med god marginal överträffade det gamla septemberrekordet på 32,4° från 1929. I ryska Kursk där temperaturen nådde 32,0° fick det gamla septemberrekordet på 30,9° från 1944 se sig slaget. I Voronez (startår 1918) noterades 33,9° vilket slog det tidigare septemberrekordet på 32,2° från 2008.
Den 3 september uppmättes 25,0° i Lakselv lufthavn i norska Finnmark. Därmed överträffades det gamla fylkesrekordet för september på 24,8° uppmätt 1938 i Karasjok.
I slutet av månaden, den 23-24 närmare bestämt, uppmättes temperaturer på lokalt 40° i Portugal vilket är ovanligt varmt för att vara i slutet av september. Coruche uppmätte hela 40,5° den 24.
För Schweiz som helhet var detta den sjunde varmaste septembermånaden som noterats. Lokalt var månaden dock rekordvarm i Schweiz. I Sion där temperaturmätningar finns från 1864 och framåt var detta den allra varmaste septembermånaden som observerats. Den 11-12 september noterades extremt höga temperaturer kring Alperna med lokalt 30 grader. Uppe på Jungfraujoch (startår 1961) i Schweiz på 3580 m höjd över havet uppmättes 10,8° vilket är den allra högsta septembertemperatur som noterats där. Det tidigare septemberrekordet på 9,7° var från år 2000.
På Irland liksom nordvästra Storbritannien var månaden dock normal eller kyligare än normalt.
Mycket kallt slut på månaden
Septembervädret i Europa handlade inte bara om värme. I slutet av månaden noterades mycket låga temperaturer i Europa och i höglänta delar av bergen på kontinenten sjönk temperaturerna då under -10°. I Semmering (startår 1936) i Österrike noterades nytt köldrekord för september då temperaturen där sjönk till -2,7° den 26. Det tidigare rekordet var -2,2° från 1939. I Kanzelhöhe (startår 1938) tangerades denna dag det gällande septemberrekordet på -3,2° från 1939. Ytterligare sex stationer i Österrike med minst 50 års mätningar slog sina tidigare septemberrekord den 26 medan tre andra tangerade rekordvärdena. I Wien får man gå tillbaka till 1977 för att finna en lägre septembertemperatur.
I Tjeckien noterades nya bottennoteringar för månaden vid 21 stationer med minst 30 års mätningar. I Ungern noterades -4,2° på månadens sista dag. Värdet är inte alltför långt ifrån landets septemberrekord på -5,5° från 1977.
I september är det dock oftast kallast uppe på höghöjdsstationerna i Alperna. Capanna Margherita (4560 möh) i Italien noterade -14,1° den 24 vilket var månadens lägsta temperatur i Europa. På lägre höjder var det istället som kallast på Island med som lägst -12,8° i Bruarjökull den 23.
Nytt köldrekord för Island den 23
Den 23 september noterades extremt låga temperaturer på Island. Allra kallast var det i Brúarjökull som uppmätte -12,8°. Värdet är nytt isländskt köldrekord för september månad.
Förstora bildenMedellufttryck över Europa i september 2018.
Rekordhögt septemberlufttryck den 24-26 i Frankrike och Schweiz
I slutet av månaden växte ett extremt mäktigt högtryck från Atlanten in över kontinenten. Den 25 sattes nytt septemberrekord i Paris-Montsouris (startår 1872) då ett tryckvärde på 1038,3 hPa uppmättes. Även i Lille (1039,9 hPa) och Valenciennes (1040,0 hPa) noterades nya septemberrekord för högsta lufttryck denna dag.
I området mellan nordöstra Italien och Österrike uppmättes lufttryck på över 1044 hPa den 26. Concordia Sagittaria i Italien noterade 1044,5 hPa medan Neumarkt am Wallersee i Österrike rapporterade 1044,9 hPa. I Slovakien mättes 1041,8 hPa i Sliač och det är landets högsta tryckvärde för september sedan åtminstone 1951. I Schweiz uppmätte Neuchatel det högsta tryckvärdet som observerats för september månad. Tryckmätningarna där sträcker sig 110 år bakåt i tiden.
Det högtrycksbetonade väder som rådde över en stor del av Europa medförde att september blev en mycket torr månad på flera håll.
I Frankrike var detta den tredje torraste september som observerats under perioden 1958-2018 efter 1977 och 1985. I Bordeaux (startår 1921) föll 3,2 mm vilket slog det tidigare septemberrekordet på 3,6 mm från 1985. I Marseille-Marignane (startår 1921) föll ingen mätbar nederbörd. Även i september 1985 uppmättes ingen nederbörd där.
Även i exempelvis Tyskland var månaden som helhet mycket torr och den sjätte torraste septembermånaden efter 1911, 1929, 1959, 1947 och 1887. Värden för mätserien finns från 1881 och framåt.
Medicane Zorba drabbade Grekland
I slutet av månaden, den 27, bildades en tropisk cyklonliknande virvel över Medelhavet. Dessa hybrider mellan tropiska stormar och mellanbreddscykloner benämns "Medicanes" och bildas oftast under september och oktober även om de kan uppstå andra tider på året. Den 29 drabbades Grekland med full kraft av ovädret som fått namnet Zorba. Stora mängder regn föll då och Theologos noterade 262 mm den 29 vilket även var månadens största dygnsmängd i Europa. Den 29-30 föll det sammanlagt 494 mm i Theologos.
Nordamerika - Orkanen Florence drabbade North och South Carolina med full kraft
Temperaturmässigt var september en mycket varm månad i USA. För det kontinentala USA (exklusive Alaska och Hawaii) var detta den fjärde varmaste septembermånaden som observerats. I delar av östra och sydvästra USA var månaden rekordvarm. Rankingen avser perioden 1895-2018.
För sju delstater, Utah, Arizona, Ohio, Florida, Maryland, Delaware och West Virginia, var detta den allra varmaste septembermånaden som observerats. I Tallahassee i Florida med temperaturmätningar sedan åtminstone 1921 och framåt inträffade det märkliga att september var varmare än juni, juli och augusti. Detta har endast hänt en gång tidigare där, nämligen 1925.
Månadens högsta temperatur blev 48,9° och uppmättes den 8 i Death Valley i den amerikanska delstaten Kalifornien.
Förstora bildenBilden visar var i USA som september 2018 exempelvis var rekordvarm. Temperaturklassningen avser perioden 1895-2018.
I Alaska var det lokalt en rekordvarm månad i den västra och södra delen. I Fairbanks med 115 års mätningar var detta den allra varmaste septembermånaden som observerats där. I Bethel (startår 1923) var månaden frostfri vilket endast hänt 2007, 1991, 1969 och 1949. Månadens lägsta temperatur på 2,8° är den högsta minimitemperatur som observerats under en septembermånad där.
Kall eller mycket kall septembermånad i västra Kanada
Medan det var varmt i så gott som hela USA var det kallt i framförallt de inre delarna av västra Kanada med temperaturunderskott på 2-5 grader från normalvärdet. I Yellowknife i Kanada var detta den kallaste septembermånaden som observerats. I Calgary får man gå tillbaka till 1985 för att finna en kyligare september.
Månadens lägsta temperatur noterades uppe på höghöjdsstationen Denali Foot Camp (4328 möh) i Alaska där temperaturen sjönk till -21,7° den 25. På lägre höjder var det istället som kallast i Margaret Lake i Kanada med -18,2° som lägst den 26.
Rekordblöt månad i Texas och West Virginia
I en stor del av USA var månaden inte bara mycket varm utan även mycket blöt. I delstaten West Virginia var månaden på delstatsnivå den allra regnigaste septembermånad som observerats. Även i Texas var det en rekordblöt septembermånad. Statistik på delstatsnivå finns från 1895 och framåt.
I delar av västra USA var månaden däremot mycket eller extremt torr. I Salt Lake City med mätningar från 1874 och framåt inträffade det för endast femte gången att knappt mätbar nederbörd noterades.
Många tropiska cykloner i september
Den tropiska orkansäsongen på Atlanten livades upp ordentligt i september. Inte mindre än sju tropiska stormar bildades vilket är ovanligt många även för att vara i september månad då orkansäsongen når sin klimatologiska peak. Rekordet för antal bildade tropiska stormar under en och samma månad på Atlanten är åtta vilket inträffat vid fem tillfällen (2012, 2010, 2004, 2002 och 1950). För september har detta inträffat 2010 och 2002.
Nya delstatsrekord för North och South Carolina
De flesta stormarna var kortlivade och svaga samt höll sig ute över öppet hav. Kraftigast var Florence som nådde kategori 4 på den femgradiga Saffir-Simpsonskalan. Florence bildades borta vid Kap Verde-öarna den 1 september. Den 7 befann sig orkanen vid latitud 25°N och longitud 50°W. Efter en snabb försvagning samlade Florence ny kraft ute över det varma vattnet samtidigt som ett mycket mäktigt högtryck styrde orkanen västerut mot USA. Den 14 nådde så Florence den amerikanska delstaten North Carolina som en kategori 1-orkan. Samtidigt rörde sig orkanen bara långsamt åt sydväst mot delstaten South Carolina vilket borgade för att extremt stora mängder regn kunde falla över de båda delstaterna.
Förstora bildenSatellitbild över orkanen Florence som drog in över USA den 14 september som en kategori 1-orkan.
Nya delstatsrekord sattes för största regnmängd i anslutning till en tropisk cyklon. Totalt föll 913 mm regn i Elizabethtown i North Carolina medan Loris i South Carolina uppmätte 600 mm. Det tidigare delstatsrekordet för North Carolina var 611 mm i samband med orkanen Floyd 1999. I South Carolina var det förra rekordet 443 mm i samband med den tropiska stormen Beryl 1994.
Den största dygnsmängden var 415 mm i Swansboro i North Carolina den 15 september.
I Wilmington i North Carolina där nederbördsmätningar pågått från 1871 och framåt bidrog de stora mängderna från Florence till att stationen upplevde sin absolut blötaste kalendermånad. Det tidigare rekordet var från september 1999 då orkanen Floyd drabbade staden. De ymniga regnen i samband med Florence bidrog även till att stationen med tre månader kvar av 2018 redan nu slagit sitt tidigare rekord för största årsnederbörd. För januari till och med september har det fallit 2202 mm i Wilmington. Det tidigare årsrekordet på 2125 mm var från 1877.
Även i nordvästra Mexiko föll lokalt stora mängder regn då det tropiska lågtrycket TD-19 drog in över landet den 19 och Ahome i delstaten Sinaloa uppmätte då 360 mm.
Tropiska stormen Kirk bildades ovanligt nära ekvatorn
Den tropiska stormen Kirk bildades den 22 ovanligt nära ekvatorn (8,3°N) för att vara på Atlanten. Enligt orkanspecialisten Philip Klotzbach som twittrat om det får man gå tillbaka ända till 1902 för att finna en tropisk storm som bildats närmare ekvatorn på Atlanten.
Fortsatt hög aktivitet i östra Stilla havet
Orkanaktiviteten fortsatte att vara hög i september i östra Stilla havet. Fyra tropiska oväder, Olivia, Paul, Rosa och Sergio, bildades under månaden. Både Olivia och Rosa nådde kategori 4. Även Sergio kom att nå kategori 4 men det skedde först i början av oktober.
Asien – Kraftfull kategori 5-orkan drabbade norra Filippinerna
Månaden var övervägande varm över större delen av Asien. De största temperaturöverskotten återfanns i ostligaste Sibirien där september var 4-7 grader varmare än normalt. Månadens högsta temperatur uppmättes den 1. Då rappoterades imponerande 50,7° i Basrah i Irak.
Större delen av Indien erfor en kylig septembermånad och i den nordvästra delen av landet var månaden drygt 1 grader kyligare än vad som är normalt. Även i området från östra Kazakstan, nordvästligaste Kina, västra Mongoliet samt det angränsande området mot Ryssland blev månaden kyligare än normalt med temperaturunderskott på 0-2 grader. Avkylningen av Sibirien kom igång under andra halvan av september och den 29 uppmättes månadens lägsta temperatur på -19,6° i Seban-Kyuel i Sibirien.
Kraftfulla orkaner i västra Stilla havet i september
I slutet av augusti bildades den tropiska stormen Jebi som då nådde kategori 5, en styrka orkanen lyckades hålla in på det första dygnet av september. Orkanen försvagades sedan och drog den 4 in över Japan men var trots det den starkaste orkan som träffat landet sedan 1993. Stora mängder regn föll i samband med Jebi. Charentayama i Aichi prefektur uppmätte 354 mm på 24 timmar den 4.
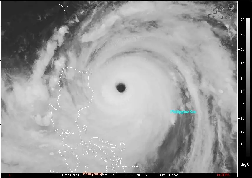
Orkanen Mangkhut drabbade norra Filippinerna
Efter Jebi följde drygt en vecka senare ytterligare en kategori 5-orkan, namngiven Mangkhut. Orkanen drabbade norra Filippinerna som en kategori 5-orkan på kvällen den 14 september svensk tid. I samband med detta föll det stora mängder regn där. Baguio rapporterade 536 mm den 15. Drygt 100 människor omkom till följd av orkanen framfart. Dessutom följde omfattande materiella skador från orkanens framfart. Kraftiga regnband från orkanen drev påföljande dygn in över de östra delarna av Taiwan. Allra mest föll då i regnmetropolen Xidawushan som noterade 840 mm den 15.
Förstora bildenSatellitbilden från den 14 september svensk tid visar kategori 5-orkanen Mangkhut på väg in över norra Filippinerna.
Efter att ha tappat en del kraft under passagen över Filippinerna samlade orkanen ny styrka över Sydkinesiska havet och den 16 drog orkanen in över sydvästra Kina. För Hong Kongs del var detta den kraftfullaste orkan som drabbat staden sedan 1983. En fin animering av orkanens framfart över norra Filippinerna finns att tillgå i en tweet av Dan Lindsey Länk till annan webbplats..
Trami nådde också kategori 5
Den 21 bildades den tropiska stormen Trami. Under de följande dagarna intensifierades Trami och sent på kvällen den 24 svensk tid nådde Trami Saffir-Simpsonskalans högsta nivå, kategori 5. Därefter försvagades orkanen långsamt till följd av lägre havsvattentemperatur men var trots det en kraftfull kategori 2-orkan då den nådde land i Japan den 30 i Tanabe (Wakayama prefektur). Stora mängder regn föll i samband med Trami. Toritagayama i Kochi prefektur uppmätte 444 mm.
En tropisk storm, namngiven Barijat, bildades i början av månaden och rörde sig in över södra Kina och norra Vietnam den 13. Stora mängder regn föll i anslutning till Barijat i Taiwan. Den 9 fick Qingtian 492 mm och totalt 768 mm den 8-9.
I slutet av månaden bildades den tropiska stormen Kong-Rey som kom att utvecklas till en kategori 5-orkan i början av oktober. Mer om detta i oktoberkrönikan.
Det var inte bara i samband med tropiska cykloner som stora mängder regn föll. I Indien uppmättes 410 mm i Paradeep den 6 och den 10 noterade Murti 350 mm.
Arktis – Sjätte lägsta säsongsminimumet
Det årliga säsongsminimumet för havsisen blev enligt amerikanska National Snow and Ice Data Center (NSIDC) det sjätte lägsta som observerats under perioden 1979-2018. Minimumet inträffade dessutom extremt sent och vid två olika tillfällen. Den 19 och den 23 september täcktes Arktis av 4,594 miljoner kvadratkilometer havsis. Datumet för minimumet den 23 september är det allra senaste datumet som observerats. Ett lika sent säsongsminimum inträffade 1997.
Temperaturmässigt blev september i allmänhet mildare än normalt i större delen av Arktis. De största överskotten återfanns i den östra delen av ryska Arktis där överskotten var 4-6 grader på många håll. Enligt den franske meteorologen Etienne Kapikian var detta den allra varmaste septembermånad som observerats i Pevek och Oulen som båda är belägna vid Ishavskusten. Gemensamt för de två stationerna är att det tidigare septemberrekordet var från 2007. Marginalen till 2007 var dessutom extremt stor, 2,1 grader i Ouelen och 1,3 grader i Pevek. Vid Wrangels ö (startår 1926) i Ishavet noterades ett nytt septemberrekord den 1 då temperaturen där kom upp i 12,8°.
I Beauforthavet och den västra delen av kanadensiska Arktis var det en kylig månad med temperaturunderskott på 0-3 grader från normalvärdet. I Gjoa Haven var detta den allra kyligaste septemberupplagan som observerats.
Den 2-16 september noterades ett extremt mäktigt högtryck över Berings hav. Utifrån återanalysdata för perioden 1958-2017 och hänsyn tagen till trenden får man gå tillbaka till november 1965 för att finna ett kraftigare högtryck under så lång tid på norra halvklotet. En bidragande orsak till högtryckets styrka är sannolikt resterna av de tre tropiska cykloner som vid olika tillfällen rörde sig upp mot Berings hav. En annan faktor torde vara det osedvanligt varma havsvattnet i Berings hav.
Månadens högsta temperatur uppmättes den 6 i Kangerlussuaq på Grönland då temperaturen där kom upp i 14,5°. Nästan lika varmt, 14,2°, var det den 2 i Coral Harbour i Kanada.
Kring höstdagjämningen förekom extremt låga temperaturer på inre Grönland. Summit (3200 möh) uppmätte -45,3° både den 21 och den 22. Detta är inte långt ifrån stationens lägsta septembervärde på -46,0°. Stationen togs i drift 1991. På lägre höjd var det istället som kallast i Nord på Grönland med -20,1° den 25. Nästan lika kallt var det i Mould Bay i Kanada samma morgon med -20,0°.
Förstora bildenTemperaturavvikelsen i september 2018 för Arktis (vänster bild) och Antarktis (höger bild) relativt perioden 1981-2010.
Antarktis – För årstiden mycket lite havsis
Den 30 september uppmättes enligt NSIDC 18,097 miljoner kvadratkilometer havsis runt Antarktis. Detta värde baserar sig på ett medelvärde över de fem senaste dygnen (26-30 september) och ligger till grund för när det årliga säsongsmaximumet inträffar. I år blev det den 2 oktober. Det förtjänar dock att nämnas att det största enskilda dagliga värdet på 18,222 miljoner kvadratkilometer inträffade den 30 september. Då NSIDC använder sig av medelvärde över fem dygn räknas maximumet till oktober. Mer om säsongsmaximumet för havsisen kring Antarktis i oktoberkrönikan.
Temperaturmässigt var månaden variabel med ömsom överskott och ömsom underskott. De största underskotten (avser 1981-2010) återfanns i södra Weddellhavet medan de största överskotten noterades i kustremsan mellan Weddellhavet och Lazarevhavet samt i södra Rosshavet. På östra Antarktis hade stationen Casey sin kallaste september sedan 1998.
Månadens lägsta temperatur blev -79,1° uppmätt den 6 vid Dome Argus (4084 möh). Nästan lika kallt var det vid Concordia (3232 möh) den 3 då temperaturen där sjönk till -78,9°.
Märkligt nog så uppmättes månadens högsta temperatur samma dag som månadens lägsta på kontinenten. Base Marambio kom den 6 upp i 5,2° som mest. Det skiljde således 84 grader mellan den kallaste och den varmaste platsen på Antarktis denna dag.
Sydamerika – Mestadels varmare än normalt
Månaden var allmänt 2-4 grader varmare än normalt i en stor del av Brasilien. Även i en stor del av norra Argentina, Uruguay samt delar av Paraguay var det varmare än normalt och med överskott på 2-3 grader jämfört med normalvärdet. I delar av Peru liksom på kontinentens sydligaste del, Eldslandet, var månaden lite kyligare än normalt.
I Argentina var detta den absolut varmaste septembermånad som observerats under perioden 1961-2018. Det tidigare rekordet var från 1971 och 2012. I exempelvis Buenos Aires slogs rekordet från 2007.
Månadens lägsta temperatur uppmättes som så många gånger förr i de höglänta delarna av Anderna där Chuapalca i Peru uppmätte -20,1° den 19. Påföljande natt uppmättes -20,0° i Chuapalca.
Månadens varmaste dag blev den 24 då Las Lomitas i Argentina uppmätte 42,5°.
Månadens nederbördsrikaste dygn var den 11 då Apartadó i Colombia uppmätte 264 mm.
Afrika - Varmt i norra Afrika
I ett band över Västafrika var månaden normal eller något kyligare än normalt. Även i en stor del av Sydafrika var månaden lite kyligare än brukligt. Månadens lägsta temperatur på -9,3° uppmättes i Buffelsfontein (1783 möh) den 10.
I Nordafrika var det däremot en varm månad. I den norra halvan av Algeriet var temperaturöverskotten 2-3 grader över normalvärdet. Även i norra Marocko och nordöstra Egypten förekom lokala överskott på drygt 2 grader från normalen. Månadens högsta temperatur blev 46,5° och uppmättes den 2 i Abu Hamed i Sudan. Nästan lika varmt, 46,4°, var det den 9 i algeriska Hassi-Messaoud.
Lokalt kraftiga regn drabbade Sydafrika den 7. Tsitsikamma uppmätte då 165 mm medan Joubertina noterade 163 mm. Än större regnmängder föll i Tunisien den 22 och den 23. Béni Khalled fick då 297 mm på 24 timmar den 22 varav 225 mm på 6 timmar. I Slimane uppmättes 244 mm.
Australien/Oceanien - Stora mängder regn på Hawaii i samband med stormen Olivia
Månadens högsta temperatur blev 40,9° uppmätt den 26 i Roeburne i Australien. Den lägsta temperaturen stod Thredbo i Australien för då -9,7° rapporterades därifrån den 24.
För Australien som helhet var det en rekordtorr septembermånad. På delstatsnivå noterades emellertid inga nya rekord. Närmast var Victoria som hade sin näst torraste september efter 1914. Två av delstatens stationer med mer än 130-åriga mätserier erfor sin allra torraste september och förpassade båda september 1914 till en andra plats.
I Western Australia var detta den tredje torraste septembermånaden och den torraste där sedan 1939. Särskilt torrt var det i den sydvästra delen av delstaten.
Den 26 bildades den tropiska stormen Liua i sydvästra Stilla havet. Enligt den nyzeeländska vädertjänsten NIWA är detta den första tropiska storm som bildats i sydvästra Stilla havet i september månad sedan 1950.
Hawaii drabbades den 12 av den tropiska stormen Olivias framfart. Stora mängder regn föll då på lovartsidan av öarna Maui och Oahu. Manoa Lyon Arboretum på Oahu noterade då 241 mm på 24 timmar vilket blev månadens största dygnsmängd. Ett värde på 317 mm från Mahinahina på Maui samma dag finns men förefaller aningens suspekt.
Stormen Walaka avslutade namnlista efter 36 år
I slutet av månaden bildades den tropiska stormen Walaka. Walaka är det sista namnet på Central Pacific Hurricane Centers (CPHC) rullande namnlista över tropiska stormar och orkaner. Listan initierades 1982 och först nu, 36 år senare har samtliga 48 namn på listan använts. Mer om Walaka i oktoberkrönikan.
Källor:
- Analyser och observationer från de nationella meteorologiska institutens och forskningsinstitutioners webbsidor samt från det ordinarie globala observationsutbytet.
Internationella månadsöversikter
Månadsöversikter Argentina Länk till annan webbplats.
Månadsöversikter Belarus Länk till annan webbplats.
Månadsöversikter Brasilien Länk till annan webbplats.
Månadsöversikter Colombia Länk till annan webbplats.
Månadsöversikter Costa Rica Länk till annan webbplats.
Månadsöversikter Danmark Länk till annan webbplats.
Månadsöversikter El Salvador Länk till annan webbplats.
Månadsöversikter Etiopen Länk till annan webbplats.
Månadsöversikter Finland Länk till annan webbplats.
Månadsöversikter Frankrike Länk till annan webbplats.
Månadsöversikter Irland Länk till annan webbplats.
Månadsöversikter (Tíðarfar) Island Länk till annan webbplats.
Månadsöversikter Japan Länk till annan webbplats.
Månadsöversikter Kina Länk till annan webbplats.
Månadsöversikter Nederländerna Länk till annan webbplats.
Månadsöversikter Norge Länk till annan webbplats.
Månadsöversikter Polen Länk till annan webbplats.
Månadsöversikter Portugal Länk till annan webbplats.
Månadsöversikter Schweiz Länk till annan webbplats.
Månadsöversikter Serbien Länk till annan webbplats.
Månadsöversikter Spanien Länk till annan webbplats.
Månadsöversikter Storbritannien Länk till annan webbplats.
Månadsöversikter Slovenien Länk till annan webbplats.
Månadsöversikter Sydafrika Länk till annan webbplats.
Månadsöversikter Taiwan Länk till annan webbplats.
Månadsöversikter Tyskland Länk till annan webbplats.
Månadsöversikter Österrike Länk till annan webbplats.
Månadsöversikter Ukraina Länk till annan webbplats.
Månadsöversikter USA Länk till annan webbplats.
Månadsöversikter Mexiko Länk till annan webbplats.
Månadsöversikter Pakistan Länk till annan webbplats.
Månadsöversikter Perus Länk till annan webbplats.
Månadsöversikter Indien Länk till annan webbplats.
Månadsöversikter Réunion Länk till annan webbplats.
Månadsöversikter Rumänien Länk till annan webbplats.
Månadsöversikter Uruguay Länk till annan webbplats.
Månadsöversikter Australien Länk till annan webbplats.
Månadsöversikter Nya Zeeland Länk till annan webbplats.
Månadsöversikter globalt (NOAA) Länk till annan webbplats.
Månadsöversikter globalt (Copernicus) Länk till annan webbplats.
Dagliga avvikelser, polarisar, extremväder med mera
Dagliga avvikelser (Copernicus Climate Pulse) Länk till annan webbplats.
Arctic sea ice news and analysis - NSIDC Länk till annan webbplats.
FloodList (Copernicus) Länk till annan webbplats.
European Severe Weather Database Länk till annan webbplats.
World Meteorological Organization (WMO) Länk till annan webbplats.
